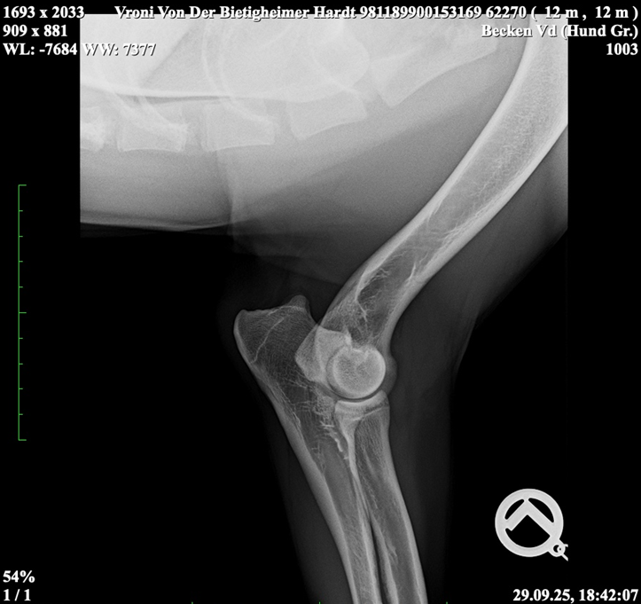
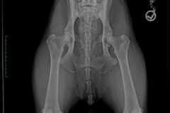
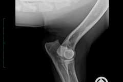
Vroni von der Bietigheimer Hardt
SZ. 2395403; WT: 27.09.2024;
HD ZW: kW25/02 „69“ Größen-ZW: kW25/02 „101!
Vroni (unser kleines „Monster“) stammt aus unserem „V“ Wurf nach Zamdamor Franco und Solveig von der Bietigheimer Hardt.
(11.01.2025 Schloss Bad Rotenfels) Auch wenn man noch „klein“ ist, muss man horchen
